Springe auf Hauptinhalt Springe auf Hauptmenü Springe auf SiteSearch
Turbulenzarme Verdrängungsströmung

Bestes Klima auf den Punkt gebracht

Kompakt informieren

  • Besondere Anforderungen in definierten Bereichen von Räumen und Hallen an die Luftqualität und Lufttemperatur können durch eine turbulenzarme, kolbenartige Verdrängungsströmung realisiert werden.
  • Die Auswahl des Verdrängungslüftungsprinzips erfolgt in Abhängigkeit von den thermischen Rahmenbedingungen, der Schadstoffkonzentration, den Hygieneanforderungen sowie den Komfortansprüchen.
  • Spezielle Industrieluftdurchlässe vereinen alle Leistungsanforderungen in einer Komponente und können nachträglich an veränderte Bedingungen angepasst werden.

Die Aufgaben der Lüftungstechnik im Industriebereich sind vielfältig und komplex. Zunächst dient sie der Sicherstellung bestmöglicher und zum Teil auch gesetzlich vorgeschriebener Bedingungen für das Personal, unter anderem durch einen ausreichenden Luftwechsel, behagliche Temperaturen sowie die wirksame Abfuhr von Schadstoffen.

Darüber hinaus müssen häufig zur Gewährleistung einwandfreier Funktionalität und hoher Qualitätsstandards der Produkte auch die Raumluft und Temperatur in unmittelbarer Umgebung der einzelnen Herstellungsprozesse hohe Anforderungen erfüllen Abb. 1 . Bei der Auswahl des geeigneten Lüftungskonzeptes ist zudem zu beachten, dass der Energie-, Material- und Kostenaufwand möglichst gering ausfällt und die installierte Technik die Arbeits- und Produktionsabläufe nicht stört oder einschränkt.

Turbulenzarme Verdrängungsströmung

In Räumen und Hallen, in denen in bestimmten Bereichen besondere Anforderungen an die Luftqualität und Temperatur herrschen, empfiehlt sich der Einsatz turbulenzarmer Verdrängungsströmung. Diese wird durch einen impulsarmen Luftaustritt mit einer Vielzahl von feinen, benachbarten Luftstrahlen erzeugt. Ihre unmittelbare Lenkung in den Arbeits- oder Produktionsbereich hat eine gezielte Verdrängung der erwärmten und schadstoffbelasteten Luft zur Folge. Aufgrund des niedrigen Turbulenzgrads entsteht keine Vermischung mit der umgebenden Raumluft. Dabei gilt: je geringer der Turbulenzgrad, desto laminarer die Luftströmung.

Abhängig von den thermischen Rahmenbedingungen, der Schadstoffkonzentration, den Hygieneanforderungen sowie den Komfortansprüchen stehen verschiedene Arten der Verdrängungslüftung zur Verfügung. Die Luftführung kann vertikal von oben nach unten, von unten nach oben oder auch horizontal erfolgen. Wichtig ist bei allen Varianten, dass die Zulufteinbringung und die Abluftentnahme an den gegenüberliegenden Flächen angebracht sind. So entsteht eine kolbenartige Strömung, die Wärme- und Schadstofflasten effektiv, gleichmäßig und ohne Verwirbelungen direkt von einer zur anderen Seite abführt. Durch die geringen Luftgeschwindigkeiten in den Arbeitsbereichen werden zudem Zugerscheinungen vermieden. Die turbulenzarme Verdrängungsströmung sorgt also dafür, dass örtlich begrenzt die Raumluft bestimmte Anforderungen erfüllt, während in der gesamten Halle durchaus ein Gefälle in der Temperatur und in der Konzentration von Verunreinigungen entstehen kann.

Anforderungen bei großen Bauteilen

Häufig fallen bei der Herstellung von Produkten Stoffpartikel an, die sich anschließend mit der Umgebungsluft vermischen, beispielsweise bei der Oberflächenbeschichtung und speziell in Lackierhallen Abb. 1 . Damit sich die partikelbehaftete Raumluft nicht negativ auf die Qualität des Produkts auswirkt, wird sie durch turbulenzarme Verdrängungsströmung gezielt abgeführt und so aus der direkten Umgebung des Herstellungsprozesses ferngehalten. Sind die Stoffpartikel schwerer als Raumluft, sollte ihre Abfuhr nach unten in Richtung Boden erfolgen. Hierfür eignen sich spezielle Industrieluftdurchlässe, die an der Decke oder über dem Produktionsprozess angebracht werden.

Besondere Anforderungen entstehen, wenn Oberflächen von sehr groß dimensionierten Bauteilen behandelt und / oder die turbulenzarme Verdrängungsströmung aus großer Höhe eingebracht wird. Dann ist eine gleichmäßige, laminare und induktionsarme Luftumspülung des Großteils zur wirkungsvollen Abführung von Stoffpartikeln in Bodenrichtung notwendig. Oft müssen auch die Luftgeschwindigkeit und die örtliche Raumtemperatur konstant gehalten werden.

Bei der Planung und Auslegung der turbulenzarmen Verdrängungsströmung für ein großes Bauteil müssen einige Parameter beachtet werden: Anzahl, Position und Abstand der einzelnen Durchlässe, Volumenstrommenge, Temperatur und Eindringtiefe der Zuluft in den jeweiligen Betriebsbereichen, Strömungsverhalten im Kombinationsbetrieb und vieles mehr. Häufig besteht die Lösung aus einem Zusammenspiel mehrerer Luftdurchlässe mit unterschiedlichen Strömungsprofilen.

Spezielle Industrieluftdurchlässe …

Es gibt jedoch auch spezielle Industrieluftdurchlässe, die alle Leistungsanforderungen in einer Komponente vereinen und so den planerischen und technischen Aufwand verringern. Sie erzeugen am Luftaustritt eine Strahlaufweitung und splitten die aufbereitete Zuluft gleichzeitig in vertikale und in horizontale Anteile auf. Während der vertikale Luftstrom gezielt die Abführung der Schadstoffe und des Oversprays in Bodenrichtung vornimmt, verhindert die horizontale Lufteinbringung die Raumluftinduktion.

Die horizontale Strömungslenkung erfolgt meist mit einem perforierten Kegelstumpf. Dadurch bildet die Zuluft nach ihrem Austritt eine Art Schleier; das Eindringen belasteter Raumluft in den Luftdurchlass wird vermieden. Zusätzliche Gleichrichterelemente bewirken ein gleichmäßiges, turbulenzarmes Ausströmen der Luft über die gesamte Kegelstumpffläche. Der vertikal ausströmende Volumenstrom wird über eine im Zentrum des Kegelstumpfes platzierte Ausblasdüse gelenkt, wobei eine große Austrittsfläche die laminare Luftströmung unterstützt.

… mit variabler Eindringtiefe

Daneben ermöglicht eine variable Luftlenkung unterschiedliche Eindringtiefen, die durch die Hallenhöhe und durch die Bauteilgröße und -form bestimmt werden. Eine Herausforderung ist es, die turbulenzarme laminare Strömung auch aus großen Höhen zu erzeugen und gleichzeitig in der unmittelbaren Produktumgebung eine Induzierung der (potenziell) unsauberen Raumluft zu verhindern. Zur Anpassung der Eindringtiefe an die Bauteilposition muss die Strahlaufweitung der Zuluft beeinflusst werden.

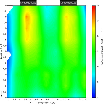
Beim Industrieluftdurchlass LDA Abb. 2 von Emco Klima sorgt beispielsweise ein stufenlos verstellbarer Leitapparat für unterschiedlich große vertikale und horizontale Luftanteile Abb. 3 . Befindet sich das für die Oberflächenbeschichtung vorgesehene Bauteil nur 3 m unterhalb des Luftdurchlasses, erfüllen eine breite Strahlaufweitung (etwa 6 bis 8 m) sowie ein geringer vertikaler Impuls die geforderten Bedingungen. Wird hingegen eine hohe Eindringtiefe von 15 m benötigt, tritt der überwiegende Teil des Volumenstroms mit einer hohen vertikalen Austrittsgeschwindigkeit aus, während ein kleiner horizontaler Luftanteil die Vermischung der Raumluft mit der Zuluft unterbindet Abb. 4 .

Die Verstellung des Leitapparats und damit der Eindringtiefe kann manuell, elektrisch oder pneumatisch erfolgen. Damit lässt sich die Eindringtiefe an die Gegebenheiten und nachträglich an veränderte Rahmenbedingungen anpassen Abb. 5 Abb. 6 . Viele Hersteller unterstützen Fachplaner mit einer werksseitigen Einbauplanung, indem sie alle erforderlichen Parameter – wie etwa die Steuerspannung oder den Einbauabstand beim Kombinationsbetrieb – im Simulationsbetrieb in eigenen Laboren prüfen und anschließend detailliert darlegen. Für besondere Anforderungen sind die Industrieluftdurchlässe als explosionsgeschützte Version erhältlich, die mit einem speziellen Stellantrieb und antistatischen Komponenten ausgestattet sind.

Homogenes Temperaturfeld

Darüber hinaus gewährleisten die beschriebenen Industrieluftdurchlässe neben der wirkungsvollen Abfuhr von Schadstoffen ebenfalls ein örtlich begrenztes homogenes Temperaturfeld. Eine vordefinierte Temperaturkonstanz ist nicht nur bei industriellen Oberflächenbeschichtungsprozessen, sondern auch bei spanenden Fertigungsverfahren für eine einwandfreie Funktionalität und Qualität der Produkte ausschlaggebend. Hier kann sich unter Umständen bereits eine Abweichung von 1 K negativ auf den Fertigungsprozess auswirken und die Produkteigenschaften nachteilig beeinflussen.

Hinzu kommt, dass bei der Fertigung selbst oft punktuell starke Abwärme entsteht, die dann ohne Gegenmaßnahmen zu wesentlichen Temperaturdifferenzen in dem beeinflussten Bereich führt. Und je größer beziehungsweise höher das entsprechende Bauteil ist, desto größer ist auch die Temperaturschichtung in seinem direkten Umfeld. Hier sorgen die Industrieluftdurchlässe mit der turbulenzarmen Verdrängungsströmung auch aus großen Höhen für die Abfuhr der Wärmelasten und stellen ein homogenes Temperaturfeld rund um den Fertigungsprozess sicher. Die Strahlaufweitung und Untertemperatur der Zuluft wird dabei so angepasst, dass der Luftstrahl zusätzlich zur Verdrängung der bei der Produktion anfallenden Schadstoffe auch der punktuell vorhandenen thermischen Auftriebsströmung entgegenwirkt.

Hans-Helmut Haas

Produktmanagement Industrielüftung, Emco Klima, 49809 Lingen (Ems), https://www.kampmann.de/emco

Jetzt weiterlesen und profitieren.

+ TGA+E-ePaper-Ausgabe – jeden Monat neu
+ Kostenfreien Zugang zu unserem Online-Archiv
+ Fokus TGA: Sonderhefte (PDF)
+ Webinare und Veranstaltungen mit Rabatten
uvm.

Premium Mitgliedschaft

2 Monate kostenlos testen